For Sale By Auction | 09:00, 24 May 2023 | Lot 74

Land Adjacent to 1 Russet Close, Uxbridge, Middlesex, UB10 0ST

*Guide | £420,000+ (plus fees)

  • Off-Plan
  • Tenure: Freehold

Call the team on 020 7625 9007 for more information

Auction Date

Wed 24/05/2023

Auction Time

09:00

Auction Venue

Live Stream

A Vacant Freehold Development Site Measuring Approximately 333 sq m (3,584 sq ft) Offered With Planning Permission for Construction of 2 x Semi-Detached Townhouses (over 100 sq m GIA each)

Tenure

Freehold

Location

The site is situated on an established residential cul-de-sac and close to local shops and amenities. The open spaces of Hayes End Recreation Ground are within easy reach. Transport links are provided by Hayes & Harlington rail station (Elizabeth Line).

Planning

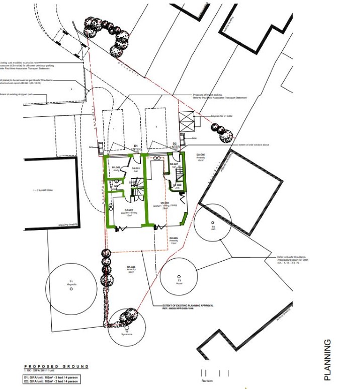
Hillingdon Borough Council granted the following planning permission (ref: 68085/APP/2023/648) on 6th March 2023: 'Erection of a three storey building to create 2 x semi-detached dwellings with associated car parking and installation of vehicular crossover'

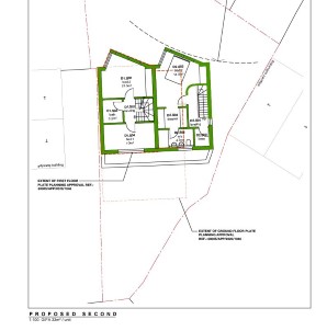
Proposed Accommodation

House 1 Kitchen/Reception Study Separate WC First Floor Bedroom/Reception Bedroom Bathroom Second Floor Two Bedrooms Bathroom G.I.A 102 sq m / 1,097 sq ft House 2 Large Kitchen/Reception First Floor Large Bedroom & En-suite Second Floor Large Bedroom & En-suite G.I.A 102 sq m / 1,097 sq ft

Services

Interested parties are requested to make their own enquiries to the relevant authorities as to the availability of services.

Important Notice to Prospective Buyers:

We draw your attention to the Special Conditions of Sale within the Legal Pack, referring to other charges in addition to the purchase price which may become payable. Such costs may include Search Fees, reimbursement of Sellers costs and Legal Fees, and Transfer Fees amongst others.

Additional Fees

Administration Charge - Purchasers will be required to pay an administration fee of £1,800 inc VAT

Disbursements - Please see the legal pack for any disbursements listed that may become payable by the purchaser on completion.

View Larger Map

Disclaimer: The map preview provided above is for general guidance only and may not accurately reflect the exact location or surrounding buildings. Prospective buyers and interested parties are strongly advised to independently verify the precise location and surroundings before bidding.