For Sale By Auction | 08:45, 13 September 2023 | Lot 60

57 Saxville Road, Orpington, Kent, BR5 3AN

Sold £485,000

  • End of Terrace House
  • 3 Bedrooms
  • Tenure: Freehold

Call the team on 020 7625 9007 for more information

Auction Date

Wed 13/09/2023

Auction Time

08:45

Auction Venue

Live Stream

Viewing Times:

Wed 30 Aug

14:15-14:45

Fri 1 Sep

14:15-14:45

Tue 5 Sep

14:15-14:45

Thu 7 Sep

14:15-14:45

Sat 9 Sep

13:45-14:15

Mon 11 Sep

14:15-14:45

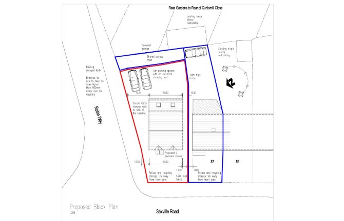
A Vacant Three Bedroom End of Terrace House Offered With Planning Permission for an additional Three Bedroom Detached House to be Erected

The current property is situated on large corner plot currently comprising a three bedroom end of terrace house arranged over ground and first floors. Renovation works have started at the property but still requires a program of refurbishment before the property can be habitable.

Tenure

Freehold

Location

The property is situated on a residential road close to local shops and amenities. The Hoblingwell Wood Recreation Ground are within easy reach. Transport links are provided by St Mary Cray rail station which is a short walk away.

Accommodation

The Property is in shell condition with no fixtures or fittings Ground Floor Reception Room Kitchen First Floor Three Bedrooms Bathroom

Exterior

The property benefits from both front and rear gardens

Planning

Bromley Borough Council granted the following planning permission (ref: 20/02971/FULL1) on 22nd January 2021: Detached two storey 3 bedroom dwelling on land adjacent to 57 Saxville Road with associated parking and vehicular access from Robin Way

Proposed Accommodation

Ground Floor Reception Room Kitchen First Floor Three Bedrooms Bathroom

Services

Interested parties are requested to make their own enquiries to the relevant authorities as to the availability of services.

Important Notice to Prospective Buyers:

We draw your attention to the Special Conditions of Sale within the Legal Pack, referring to other charges in addition to the purchase price which may become payable. Such costs may include Search Fees, reimbursement of Sellers costs and Legal Fees, and Transfer Fees amongst others.

Additional Fees

Administration Charge - Purchasers will be required to pay an administration fee of £1,800 inc VAT

Disbursements - Please see the legal pack for any disbursements listed that may become payable by the purchaser on completion.

View Larger Map

Disclaimer: The map preview provided above is for general guidance only and may not accurately reflect the exact location or surrounding buildings. Prospective buyers and interested parties are strongly advised to independently verify the precise location and surroundings before bidding.