Sold Prior | Lot 48

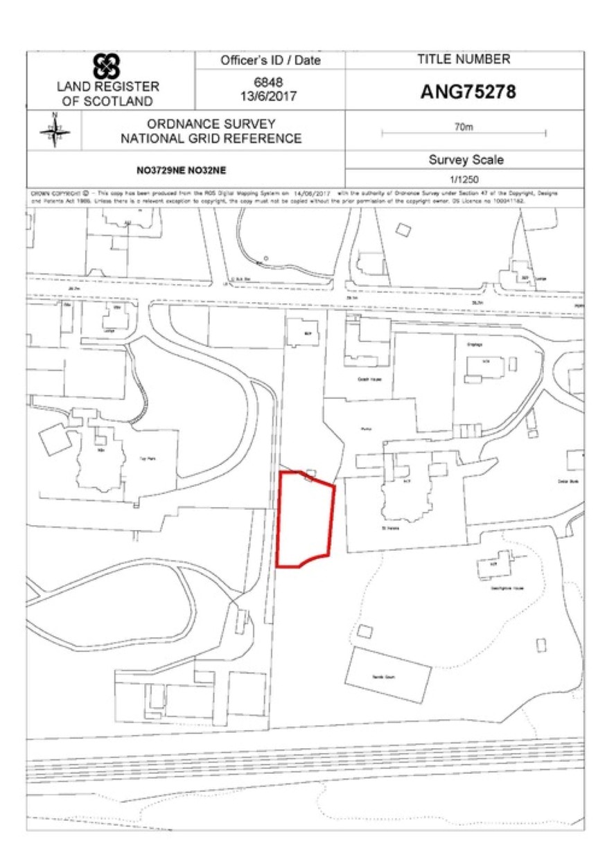
Plot at St Helens, Perth Road, Dundee DD2 1LL

Sold Prior

  • Land
  • Tenure: Freehold

Call the team on 0141 339 4466 for more information

Auction Date

Thu 27/11/2025

Auction Time

14:00

Auction Venue

Live Stream

Generous development plot

Occupying a desirable position close to Perth Road in Dundee’s sought-after West End, this sizeable plot extends to approximately 0.2 acres and sits just 2.5 miles to the west of the city centre. Set amongst established residential properties and close to the boutique Taypark House Hotel, the site offers superb potential. Whilst the plot is currently without public access, the acquisition of approved access and relevant planning consents could create a number of development possibilities. Equally, the plot may prove highly attractive to neighbouring property owners seeking to enhance their existing plot. Such opportunities are rare, and early expression of interest is essential.

Tenure

Freehold

Area

Perth Road is one of Dundee’s most sought-after addresses. The area is just 2.5 miles west of Dundee city centre, home to the V&A Dundee, Dundee Contemporary Arts, two major shopping centres, and a lively waterfront scene. Excellent public services are available with regular bus services run along Perth Road into the city centre and beyond, while Dundee Railway Station offers direct connections to Edinburgh, Glasgow, and Aberdeen. The A90 and A92 provide quick road access north and south, and Dundee Airport offers flights to London and other UK destinations.

Local Authority

Dundee City Council

Important Notice to Prospective Buyers:

We draw your attention to the Special Conditions of Sale within the Legal Pack, referring to other charges in addition to the purchase price which may become payable. Such costs may include Search Fees, reimbursement of Sellers costs and Legal Fees, and Transfer Fees amongst others.

Additional Fees

Administration Charge - 3.6% inc VAT of the purchase price, subject to a minimum of £3600 inc VAT, payable on exchange of contracts.

Disbursements - Please see the legal pack for any disbursements listed that may become payable by the purchaser on completion.

View Larger Map

Disclaimer: The map preview provided above is for general guidance only and may not accurately reflect the exact location or surrounding buildings. Prospective buyers and interested parties are strongly advised to independently verify the precise location and surroundings before bidding.