For Sale By Auction | 2.30pm, 18 March 2026 | Lot 14

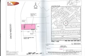
Electrical Transfer Sub Station at, Odessa Road, London, NW10 5YS

*Guide | £22,000 (plus fees)

  • Commercial Property

Call the team on 01273 201989 for more information

Auction Date

Wed 18/03/2026

Auction Time

2.30pm

Auction Venue

Live Stream

Freehold Electricity Sub-Station

The sub-station is subject to a lease to LONDON POWER NETWORKS PLC Lease 60 years from 6 June 2023 - 57 years remaining Rent £1,000pa Rent Review 5 yearly review to CPI - next review June 2028 Use - Electrical Transformer Sub-Station Tenant Break clause After 30 years of the term on 2 months notice Right for New Lease Tenant has option for a new 60 year term at end of current term with 6 months notice required. Notes At the end of the term, the tenant to remove plant, decommission and make safe the electrical lines Tenant Insures NB WE DRAW YOUR ATTENTION TO THE SPECIAL CONDITIONS IN THE LEGAL PACK, REFERRING TO OTHER CHARGES IN ADDITION TO THE PURCHASE PRICE. PLEASE ENSURE YOU HAVE READ THE LEGAL PACK AND SPECIAL CONDITIONS THOROUGHLY

No Additional Fees

False

Lot Type

Electricity Sub Station

Important Notice to Prospective Buyers:

We draw your attention to the Special Conditions of Sale within the Legal Pack, referring to other charges in addition to the purchase price which may become payable. Such costs may include Search Fees, reimbursement of Sellers costs and Legal Fees, and Transfer Fees amongst others.

Additional Fees

Administration Charge - Purchasers will be required to pay an Administration fee of 1% (inc VAT) of the sale price, subject to a minimum of £1,750 (inc VAT)

Disbursements - Please see the legal pack for any disbursements listed that may become payable by the purchaser on completion.

View Larger Map

Disclaimer: The map preview provided above is for general guidance only and may not accurately reflect the exact location or surrounding buildings. Prospective buyers and interested parties are strongly advised to independently verify the precise location and surroundings before bidding.